The Daily Insight

Connected.Informed.Engaged.

news

Do Ants Eat Flies? - Kylon Powell

Writer Ethan Hayes

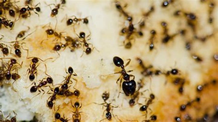
sources of proteinMany of us have witnessed an ant colony eating and collecting dead cockroaches and flies when they remain outside where they belong. The reason for this is that they could also obtain protein by eating dead bugs!

Silky Terrier Dog Breed Playing Aro... Silky Terrier Dog Breed Playing Around

Do ants eat other insects?

All kinds of things are on the menu for ants. Their natural diet includes the sap of plants and various fruits, as well as the milk of aphids and other small Hemiptera, insects, and small living or dead invertebrates. Insect eggs are also eaten by them.

Do ants eat live insects?

When ants stay outside where they belong, they get their protein from eating insects and animal parts that have been decomposed by the elements. Honeydew is a common source of carbohydrates that they feed their larvae. Aphids and scale insects secrete honeydew as a byproduct of feeding on plants.

What do ants mostly eat?

Insect eggs, aphids, fruits, and tree sap are all foods that ants eat. Ants eat a wide variety of different things, which shows how varied their diets are. Omnivores eat both plants and meat in large numbers. A generalist or opportunist is another term for an omnivorous animal that will eat almost anything it comes across.

What do ants love the most?

Sugar is the most popular food for ants. Sugar can be found in almost all foods and beverages, which is a pity. Their favorite foods and drinks include those laced with high fructose corn syrup (HFCS). In particular, ants benefit from crumbs and spills of food.

Why do ants carry away their dead?

In order to keep themselves and their queen safe, ants bury their dead there. This behavior is a result of the ants’ ability to communicate via chemical signals. Oleic acid is a chemical released from the body of a dead ant.

Do ants have a queen ant?

It is the queen’s job to produce eggs as the colony’s first queen. In order for the colony to run smoothly, all of the worker ants are female. Foraging, policing, and disposing of waste are just some of the duties that these bees perform.