The Daily Insight

Connected.Informed.Engaged.

news

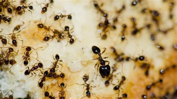
Do Ants Eat Rotten Food?

Writer Andrew Davis

You may notice a stench of decay when the food is broken down. A wide variety of foods are consumed by pavement ants. They will eat other insects as well as meat, seeds, lard, and sugar.

Silky Terrier Dog Breed Playing Aro... Silky Terrier Dog Breed Playing Around

Do ants eat decaying matter?

Aside from helping to keep the environment free of decaying vegetation, ants also consume it. Pest insects like aphids and termites are often preyed upon by ants, which pose far greater dangers to plants and animals than ants do. Ants, too, are a component of the food chain, as we’ve seen.

Do ants eat dead stuff?

As long as they can get their hands on something, ants will eat it. Other ants, dead insects, parts of dead animals, grains, fruits, and vegetables are all examples of things that could be included. However, some ant species have their own preferences.

What food are ants most attracted to?

Sugar is the most popular food for ants. Sadly, sugar can be found in a wide variety of foods and drinks. High fructose corn syrup and other sweet-smelling foods are their favorite foods. Ants thrive in conditions of food waste, such as crumbs and spills.

What will ants not eat?

They form large colonies by burrowing into the wood of homes and other structures. They are surprised to learn that they don’t eat wood, but rather proteins and sugars. Dead insects, honeydew, and jam from your refrigerator are all common food sources for them. Find out which carpenter ant killers we recommend by clicking here.

Can ants see humans?

Are Ants Aware of Us? Anti-humans do see each other. They know something is there, but until they get closer, they can’t tell if it’s another animal or a human. Until they’ve had the opportunity to get up close and personal with us, ants may mistake us for a piece of trash.

Do ants come back for the dead?

To carry out the task, ant colonies employ a team of specialists. It’s not uncommon for them to bury their dead in a cemetery or in a special tomb within the nest. Insects may bury their dead. Termites also use this strategy when they can’t afford the luxury of corpse carriers when forming a new colony.